10号台风罗莎持续接近!15日恐登陆日本西部,气象专家:注意天气( 四 )
请输入图片描述
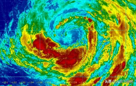
台风罗莎预测路线如下:2019年08月12日14时中心位置在北纬 17.0 度 , 东经 146.0 度 , 过去移动时速 -公里 , 中心气压 1000百帕 , 近中心最大风速每秒 15 公尺 , 瞬间最大阵风每秒 23 公尺 , 预测 12 小时平均移向移速为 , 西北西 时速 11 公里 。 预测 08月13日02时中心位置在北纬 17.5 度 , 东经 144.9 度 , 中心气压1000百帕 , 近中心最大风速每秒 15 公尺 , 瞬间最大阵风每秒 23 公尺 , 70%机率半径 110 公里 。
请输入图片描述
预测 12-24 小时平均移向移速为西北 时速 12 公里 , 预测 08月13日14时中心位置在北纬18.3度 , 东经143.9度 , 中心气压998百帕近中心最大风速每秒 18 公尺 , 瞬间最大阵风每秒 25 公尺 , 七级风暴风半径 80 公里 , 70%机率半径 170 公里 , 预测 24 小时有发展为中度台风的趋势 。
推荐阅读
- 『郑报融媒』巩义市新华路街道文化街社区文化街10号院理事会协调维修楼院下水道
- 『影响』位于地中海的“马耳他岛”是一个怎样的岛屿,会有台风影响吗!
- 直播吧▲没10号才把他位置前提,前教练:布鲁诺15岁前主要踢中卫
- 豪情NBA@这位首轮10号秀现在表现如何?,身高2米16!KG曾力保他是未来MVP
- 中心:国家气候中心专家:广西已入汛 预计今年台风偏多偏强
- 福建省:今年福建前汛期可能偏涝 预计7~9个台风登陆
- 「钢铁七连」分析:是超长阴雨的前兆,罕见!大寒时我国台湾以东突现“台风”
- [小蜜疯汽车]即使冰雹台风来了都不怕,开车的朋友注意这几点
- #李铁#47球56助攻!李铁坚决将国足10号给他,而并非蒿俊闵、吴曦
- 「足坛最前线」公认的球王都是10号,10号球衣的传奇故事:创造力和天赋的代表
