美国4级飓风让620万人撤离, 18级“山竹”威力更大, 它到底有多强( 二 )
而飓风则按照风速大小被划分为一级到五级共五个级别 , 其中五级飓风指的是风速超过155英里/小时的风暴 。 不过 , 台风可以通过换算成风速来表示直接跟飓风比对 。 下面我们就来比一比这段时间活跃在西北太平洋上的台风“山竹”和北大西洋上的飓风“艾尔玛” 。
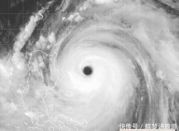
四级飓风“艾尔玛”的风速为200公里/小时左右 , 而“山竹”目前在靠近菲律宾东海岸时的风速达到了65米/秒 , 也就是234公里/小时 。 由此可以看来 , 18级超强台风“山竹”威力显然更胜一筹 。 那么 , 飓风“艾尔玛”的破坏力如何呢?它在9月6日席卷了加勒比群岛 , 直接导致该地区95%的房屋倒塌或受损 。 首先遭到冲击的安提瓜和巴布达全国洪涝 , 圣马丁岛及圣巴特密岛电力完全中断 , 位于荷属圣马丁的茱莉安娜公主国际机场遭到近乎毁灭性的打击 。 在“艾尔玛”离开后 , 加勒比地区留下了24具遇难者尸体和上百万无家可归的人!
推荐阅读
- [一种]美媒:新冠病毒检测方法要素来自美国黄石公园
- ALEX俊赫▲一手收货F-35,美国羊毛“薅”上瘾:一手“上缴”呼吸机
- 去讲心中理想▲帮美国造出核武器,晚年他却想回国养老!,为了获得美国永久国籍
- 「晓卫双」泰国转身就卖给了美国?官方终于出面回应,中国捐的口罩刚落地
- 中新网:美国多地延长应对疫情的临时政策
- 美国又倒奶,好多人想到了历史书,穿越了……
- 【科技生活快报】普京:已与欧佩克和美国就石油价格下跌问题进行讨论
- 瞭望智库:非常时期!中国为什么不像美国那样给民众发钱?
- 美股研究社▲员工继续在家办公,苹果宣布美国零售店关闭至5月
- 「中国青年网」誓言“绝不把病毒带回美国本土”,百人确诊!罗斯福号航母被封关岛
