南方:强台或超强台风预定!玲玲将“吸干”剑鱼,南方暴雨有望( 二 )
▲▲ 南方:强台或超强台风预定!玲玲将“吸干”剑鱼 , 南方暴雨有望暂停▲▲
ECMWF对玲玲的路径集合分析 , 中气爱制作
但需要注意 , 玲玲强度高 , 进入东海后移动速度加快 , 会激起滔天巨浪 , 明天(9月5日)起 , 一定不能出海了;玲玲的外围环流会刮到舟山、上海、江苏和山东半岛沿海 , 上述几个地方可能会有台风雨 。 而玲玲本尊将在掠过韩国西部沿海后 , 飞速登陆朝鲜 , 中心可能经过朝鲜首都平壤 , 随后有可能进入我国东北 。
▲▲ 南方:强台或超强台风预定!玲玲将“吸干”剑鱼 , 南方暴雨有望暂停▲▲
中央气象台对玲玲的路径预报
正因为此 , 朝鲜、韩国将有狂风暴雨 , 我国东北也会有大风和暴雨 。 对朝鲜半岛来说 , 玲玲有可能造成不小的灾害 , 9月7-8日去朝鲜和韩国的朋友 , 可以考虑改期;而对东北来说 , 玲玲也是一个坏台风 , 因为下雨的地方并不缺雨 。 还请东北的朋友在9月8日前做好准备 。
▲▲ 南方:强台或超强台风预定!玲玲将“吸干”剑鱼 , 南方暴雨有望暂停▲▲
受玲玲影响 , 9月8日东北三省有大范围暴雨-大暴雨 。 来自NMC
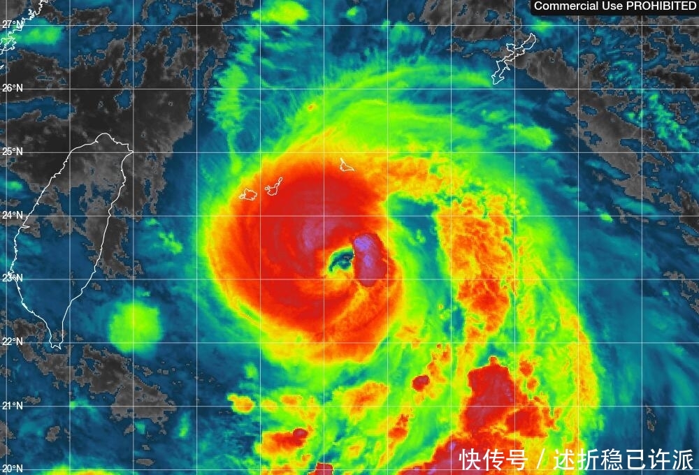
▲▲ 南方:强台或超强台风预定!玲玲将“吸干”剑鱼 , 南方暴雨有望暂停▲▲
9月4日晚玲玲色调强化云图 , 中气爱制作
推荐阅读
- 「南方PLUS」广州地铁客流重回500万大关,阔别70天
- 「南方PLUS」银河证券首席经济学家刘锋:中国应打造世界安全资产中心
- 南方Plus客户端:但……,美国FDA:未阻KN95口罩进口
- 「南方观天下」欧盟高官反驳华为“口罩外交”言论:中国与欧盟团结抗疫有错么?
- 南方观天下▲欧盟高官反驳华为“口罩外交”言论:中国与欧盟团结抗疫有错么?
- #南方新闻网#累计报告132例,3月29日广东新增境外输入确诊病例9例
- [南方Plus客户端]美的打出健康牌为救市?,董明珠自曝2月销售亏200亿
- 南方PLUS▲出狱再打人致死,又一个孙小果?,叮咚快评|故意杀人减刑9次
- 『南方Plus客户端』融资近亿元!松山湖这家企业专注研发清洁机器人
- 纳幽兰而容香草:离不开这几个策略,宋朝能快速平定南方政权
