风暴:285公里每小时,全球新风王破纪录,双准台风诞生,四风暴
小编提示您本文标题是: 风暴:285公里每小时 , 全球新风王破纪录 , 双准台风诞生 , 四风暴或要来了 。 新风|诞生|全球 。
285公里每小时 , 全球新风王破纪录 , 双准台风诞生 , 四风暴或要来了
气象界变化太快了 , 即使到了9月初 , 更是如此 , 热带海洋太过躁动 , 一个个风暴生成不停 , 其中更是有17级以上超强台风的诞生 , 更是让人吃惊 , 由此说明 , 继8月后 , 9月或又将是一个“台风月”了 。 官方最新预报 , 285公里/小时 , 最大风速79米/秒 , 全球新风王破纪录 , 双“准台风”诞生 , 四风暴共舞或要来了 。
▲▲ 风暴:285公里每小时 , 全球新风王破纪录 , 双准台风诞生 , 四风暴或要来了▲▲
具体看 , 9月2日 , 欧美最新播报显示 , 全球一个6大“风暴” , 北大西洋1个 , 1个为风暴多利安 , 一个为新胚胎91L;东北太平洋一个 , 为新风暴朱丽叶;西北太平洋3个 , 90W , 91W和92W , 其中最值得我们关注的就4个 , 那就是“双风暴”朱丽叶和多利安 , 双“准台风”91W和92W 。
▲▲ 风暴:285公里每小时 , 全球新风王破纪录 , 双准台风诞生 , 四风暴或要来了▲▲
我们一个个看 , 先说朱丽叶 , 这个风暴是由98E最新生成了 , 目前位于墨西哥南部海域 , 风力8级 , 热带风暴级 , 官方预报它的潜力也大 , 或升级为一级飓风 , 也是12级台风 , 不过从路径看 , 它未来最终西北行 , 走向海洋 , 对陆地威胁不大 , 算是个好风暴 。 而风暴多利安呢 , 更是值得关注 , 因为它又加起来 , 而且还破了纪录 。
▲▲ 风暴:285公里每小时 , 全球新风王破纪录 , 双准台风诞生 , 四风暴或要来了▲▲
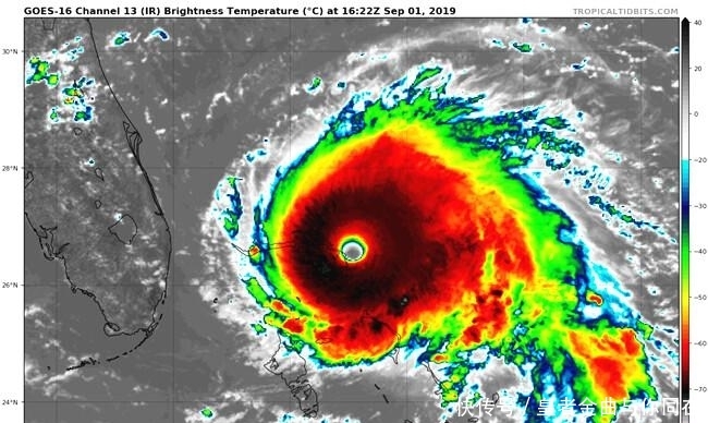
具体来说 , 美国NHC最新播报 , 风暴多利安又增强了 , 中心最低气压降低到了913百帕 , 中心最大风速提升到了150Kt , 285公里/小时 , 也是79米/秒的最大风速 , 风力17级以上的超强台风等级 。 从此时数据看 , 它已经升级为5级飓风了 , 甚至超越了之前的风暴芭芭拉和2号台风蝴蝶(140Kt , 918百帕) , 打破了纪录 , 成为了如今全球的新风王 。
▲▲ 风暴:285公里每小时 , 全球新风王破纪录 , 双准台风诞生 , 四风暴或要来了▲▲
而且从北大西洋历史看 , 新风王多利安的诞生 , 也标志着北大西洋第一个超强风暴登上舞台 , 值得注意 。 而且从未来路径看 , 风暴多利安将要影响美国东南部地区 , 或有强大的风暴潮和暴雨或大暴雨来袭 。 如今北美“双风暴”生成 , 那么我们西北太平洋怎么样呢 , 三台风胚胎中 , 又出现了新情况 。
推荐阅读
- 吴拿说机@华为正式官宣!余承东的大招要来了,新风暴说来就来!
- 『任评测』「Switch五月购买指南」火影究极风暴胡闹搬家圣剑传说3值得关注
- 搞机小王子■一定要检查车况,狂风暴雨天气开车出门前
- #ANICOGA#愚人节全球上线!,创意“戏精”游戏《风暴岛》
- 化纤邦■价格直指白菜价,全球恐面临价格风暴!涤纶长丝:战斗中满目疮痍
- 『福建闽南网』和平精英风暴点空投箱位置刷新点,和平精英风暴点空投箱在哪
- 中金网■或是风暴来临前的平静,减产同盟瓦解后3月OPEC石油产量仅微升
- 风暴军事▲警方称后果不堪设想,袭击者:背后有阴谋,美火车撞向救援医院船
- 「选股宝APP」单日死亡创纪录,西班牙成为欧洲“风暴眼”:确诊病例破10万
- 已破4亿! 辛有志严选带货小天后蛋蛋引领带货新风暴
