「喜欢」农村一种喜欢粘人的野草,人称“豨签草”,却是祛风湿
小编提示您本文标题是: 「喜欢」农村一种喜欢粘人的野草 , 人称“豨签草” , 却是祛风湿常用药材 。 风湿|人称|喜欢 。
农村一种喜欢粘人的野草 , 人称“豨签草” , 却是祛风湿常用药材
▲▲ 「喜欢」农村一种喜欢粘人的野草 , 人称“豨签草” , 却是祛风湿常用药材▲▲
在广袤的农村 , 有着各种植物 , 尤其是天气暖和的时候长得最茂盛了 , 但有一些植物却很遭农民嫌弃 , 像野草就是其中一种了 , 因为野草的生长力很强 , 刚除掉过段时间又长出来了 , 根本除不尽 。
▲▲ 「喜欢」农村一种喜欢粘人的野草 , 人称“豨签草” , 却是祛风湿常用药材▲▲
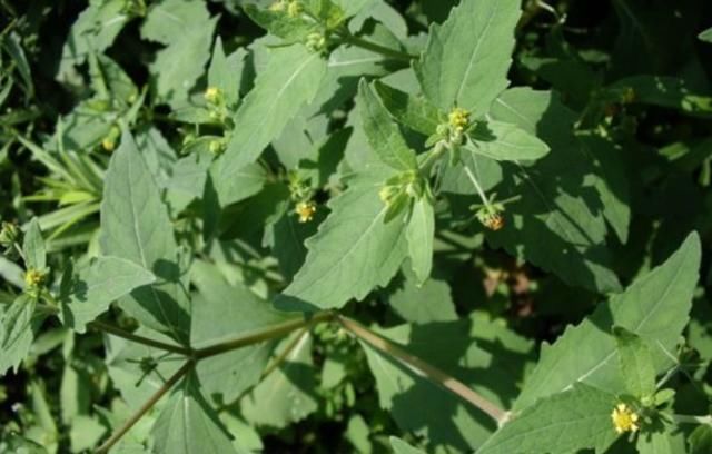
小编了解到也有一些野草因为粘人而遭到嫌弃 , 例如图中这种野草 , 它经常生长在路边 , 人们一路过裤脚就会粘到它的种子 , 就跟鬼针草差不多 , 其实这种野草在农村 , 人们都管它叫豨签草、毛梗豨签 , 你们认识吗?
▲▲ 「喜欢」农村一种喜欢粘人的野草 , 人称“豨签草” , 却是祛风湿常用药材▲▲
豨签草具有一般野草的特性 , 那就是适应性很强 , 在山野、荒地、路旁或者灌丛都能长得很茂盛 , 而且分布范围很广 , 基本上地区都有 , 还有陕西、甘肃、辽宁等地也有分布哦 。
▲▲ 「喜欢」农村一种喜欢粘人的野草 , 人称“豨签草” , 却是祛风湿常用药材▲▲
而这豨签草喜欢粘人的原因 , 就在于它长满毛的种子 , 很容易就粘附在衣服上 , 而牛羊遇到也是会粘到不少的 , 所以农村人都不太喜欢豨签草 , 甚至有时候遇到它还会绕道走呢 。
▲▲ 「喜欢」农村一种喜欢粘人的野草 , 人称“豨签草” , 却是祛风湿常用药材▲▲
▲▲ 「喜欢」农村一种喜欢粘人的野草 , 人称“豨签草” , 却是祛风湿常用药材▲▲
不过对于药农来说 , 这豨签草可是一种“宝贝” , 枝叶可以作为药材来使用 , 虽然豨签草很遭人嫌弃 , 但从另一方面来看 , 它的药用价值却是很高的 , 真是小野草也有大用途 , 这是很多人都没有注意到的 , 所以说 , 下次遇到可要珍惜了 。 不知道大家认识豨签草吗?
推荐阅读
- [一种]美媒:新冠病毒检测方法要素来自美国黄石公园
- 天宇科技趣谈:为武汉捐款2亿元,昔日二十几岁赚千万后收购奔驰,他来自农村
- 「种植」野生100元1斤,农村一挖一大堆,农民种植亩产6000斤,1斤卖40元
- 「制空少年」分到的专业自己不喜欢怎么办?,新兵下连
- 制空少年▲分到的专业自己不喜欢怎么办?,新兵下连
- 「国民撩汉大湿兄」风靡日本的性感写真女星你最喜欢哪位?
- 『扦插』农村山间的野果,却是味难得中草药,遇到请珍惜,种植有妙招
- [暴走的车教授]空间大价格亲民,其中一款老百姓最喜欢,适合二胎家庭的3款MPV
- 辣椒新闻:试图打击中国,这是一种可耻行为,菲媒:西方拿新冠病毒作为大棒
- [橙子新娱乐]赵丽颖终于成了自己的女王,农村出身到一线女星
