地块|上海市中心西藏南路两地块启动旧改,地块内多为二级以下旧里
位于上海黄浦区的两个地块——501街坊与504街坊、乔家路北块(一期)今天贴出了旧改第一轮意愿征询公告。
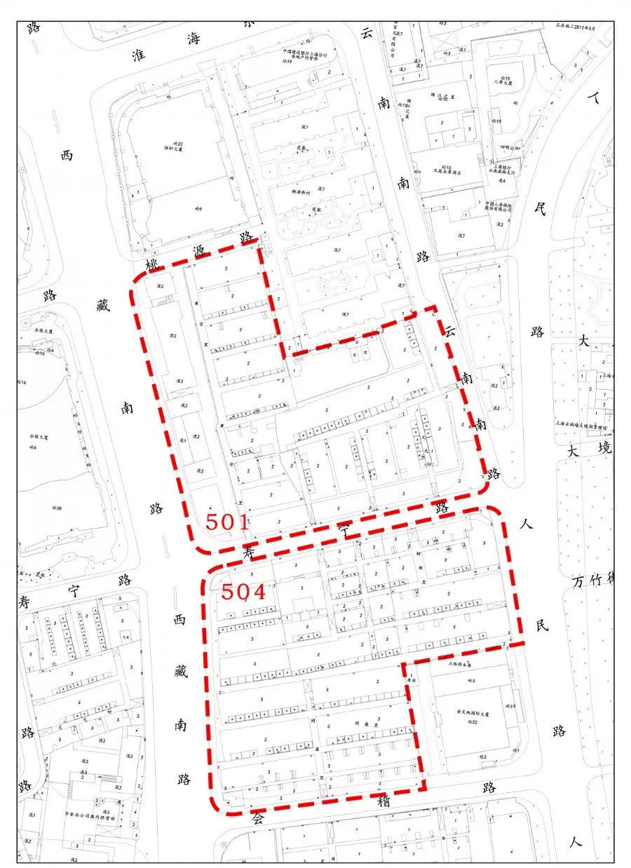
【 地块|上海市中心西藏南路两地块启动旧改,地块内多为二级以下旧里】501街坊:东至云南南路,南至寿宁路,西至西藏南路,北至桃源路;504街坊:东至人民路,南至会稽路,西至西藏南路,北至寿宁路。乔家路北块(一期):东至大夫坊,南至西唐家弄、东梅家街,西至望云路,北至复兴东路。地块内以二级以下旧里为主,居民旧改呼声高。
文章图片
据悉,今年,黄浦区积极响应市委“旧改再加力、再提速”的号召,旧改持续提速。截至目前,黄浦区已经实现4个项目启动生效,5个项目收尾。区领导日前接受采访人员采访时表示,下半年,对剩余旧改任务进行再分解、再明确、再压实,坚持“增量、扩容、提速”并举,重点聚焦金陵路、西藏路、北京路、建国路、老城厢等五大地区,充分挖掘自身潜力,充分发挥政企合作的重要渠道作用,充分激发社会资本参与意愿,创新思路、创新机制、创新方法,全力以赴打好旧改攻坚战。
-->已收藏-->-->-->收藏-->-->|唐烨/上观新闻|编辑:本站编辑|2020-08-02 10:57
标签:旧改,上海
推荐阅读
- 青岛上海路小学|秋季开学临近 岛城这所百年校园这样统筹教育复学与防疫工作
- 控规|高新区一地块控规调整 涉及面积7.64公顷由商住调整为居住
- 上海有3例确诊病例今日出院,共计829例治愈出院
- 【行走自贸区】“稳外资、稳外贸” 上海自贸区临港新片区从实事做起
- 【行走自贸区】上海自贸区临港新片区投资、贸易自由升级
- 【行走自贸区】上海自贸区临港新片区投资、贸易自由升级|【行走自贸区】上海自贸区临港新片区投资、贸易自由升级
- 【行走自贸区】“稳外资、稳外贸”|【行走自贸区】“稳外资、稳外贸” 上海自贸区临港新片区从实事做起
- 上海|上海:制假团伙包装网红带货 制售假冒名牌商品
- 大自然|担心孩子“缺失大自然”?上海有了“自然学校”
- 家长|定规则 给空间……上海家长共听“开学第一课”
