靠近|巅峰17级!“风王”海神预计8日进入东北,会带来什么影响?
从风云卫星图像来看,如今西北太平洋地区除了形成的10号台风“海神”之外,其实还是有不少的热带扰动发展,所以这也说明了9月依然是台风季节,所以后期我们也将重点观察,按照我国发布的数据来看,预计在11-20天,西北太平洋面还将有1~2个台风生成。
所以整体上来说不多也不算少,海洋区域的“暖水池”正在酝酿台风之中,具体多久能够出现还有待观察。
文章图片
当然我们也说了,如今的10号台风“海神”成为2020年以来的全球风王之后,强度也在逐步减弱,但是它的影响也加大了,下面我们就来看看台风的发展路径情况。
文章图片
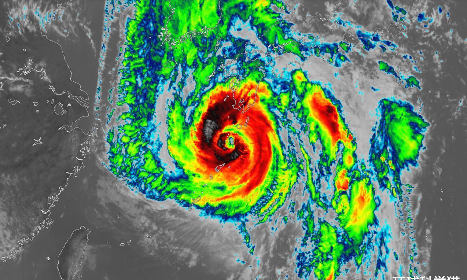
10号台风海神靠近什么地区?
从现有的情况来看,10号台风已经靠近了日本,正在穿过日本,接下来它将持续向北偏西方向移动,强度逐渐减弱。该台风已经从巅峰17级下降到了15级,所以相对来说下降速度还是比较快。同时也就是因为10号台风路过日本区域,等级也会快速下降,发展已经受到了限制。过后将会往韩国方向靠近,预计以13级的强度袭击,然后再次进入日本海,不过这并没有结束。
文章图片
预计在7日到8日之间会再次靠近朝鲜,所以这就靠近了三个国家了,但是这也还未结束,预计在8日左右会再次靠近我国的东北地区,最终在黑龙江境内消失。这综合情况来说,至少都要影响4个国家,最多影响5个,俄罗斯也在覆盖的范围之内,其实我们从风圈就可以看到,如今的10号台风“海神”云系已经袭击了所有地带,所以接下来将会持续影响。
文章图片
对于我国东北来说,我们将重点说明下,这是在半个月内,东北地区遭台风“三连击”情况,将是历史首次,所以太罕见了,根本没出现过!
【 靠近|巅峰17级!“风王”海神预计8日进入东北,会带来什么影响?】为何今年这么多台风北上?会带来什么影响?
当然对于台风北上,肯定还是引导气流带来的影响,而2020年半月内,东北遭台风“三连击”情况,将是历史首次!这说明也是非常罕见的。一般情况来说,单独从历史平均数据来看,平均每年影响东北地区的台风有1.2个。
但是今年这已经是第3个了,严重偏多。8号台风“巴威”、9号台风“美莎克”的影响可能在部分地区还没有消停缓解过来,这10号台风海神又要来,为何台风这么多北上?
文章图片
主要原因我们说了,气流引导。其中最主要的原因就是副热带高压的影响最为明显,最近一段时间的台风发展都受到了副热带高压的引导,不断北上,所以北上是没有别的选择,一直推动它的前进,这样才导致了东北连续的台风,给东北地区带来了强风雨天气,而10号台风海神依然是这种情况。
这就是“副热带高压”的强力影响明显。除此之外,还有少部分是因为西风带槽脊、台风内力(β效应)、高层系统等因素在里面,但是副高是最明显的影响。
文章图片
而给我国东北地区带来的影响还是一样的,肯定是风雨为主,尤其是前期出现内涝和作物倒伏的农田灾情将加重,如今再出现台风,可能会再次影响较大,大家提前防御下,减少损失。从降雨量也可以看到,在9月7日至9日,东北大部分地区都是有雨水覆盖,其中吉林的累计雨水量基本都是在100毫米以上,应该是影响最大的区域。需要重点观察,其次就是黑龙江、辽宁等地,根据实际情况而定,这就是可能带来的影响。
文章图片
9月的台风趋势是什么样?
如今9月算是有一个台风了,而综合情况来说,按照气候中心发布的消息指出,9月的台风不会少,较常年略偏多。初步预计9月,海洋区域可能有6~7个台风生成,较常年同期(5个)偏多,其中,2~3个登陆或影响我国沿海地区,较常年同期(1.8个)略偏多。所以9月还是需要重点注意台风的发展,同时9月最为典型的就是“秋台风”了,大家应该还记得“山竹”,就是秋台风。
文章图片
所以9月的“秋台风”可能出现之后实力都不会太小,威力和影响也不容小觑。经过夏季太阳“加热”的北半球热带海洋,积累了大量热能,这会加大秋台风发展的强度,后期只要一出现台风,我们都必须高度重视。很多朋友如今还看到说台风不来自己的家乡,但是这里可以告诉大家台风是存在“双面性”的。
文章图片
确实在某些时间可以缓解气候,但是更多的是台风破坏力非常的强,“弊是大于利”的,我们还是不要期待台风的到来,本身来说如今也是秋季,对农作物的影响很大,应该以生存的基础物质为基础才是关键。
推荐阅读
- 解读|巅峰对决即将开启!带你全面解读2020CFPL冠军杯赛制
- 社会谈资|张柏芝巅峰时期的颜值到底有多高?
- 是非|《烈日灼心》,邓超的巅峰之作,深入探讨人性的善恶是非
- Prime|亚马逊Prime会员日来临 专享巅峰64小时全球购
- 王俊凯|有种“神颜”叫校草,17级王俊凯,18级吴磊,看到19级:啥时候出道呢
- 任贤齐 |任贤齐巅峰时有多火?王菲都说没他红,只因这一首歌传遍大街小巷
- 真会玩|“整容”前才是颜值巅峰?网友晒出蔡萝莉学生照,这女神范爱了!
- 终于|《蒙面舞王》名场面预定!两代大魔王擂主终于要进行巅峰对决了?
- 明星八卦|出道即巅峰的黄奕,两段婚姻皆成为悲剧,还被两任前夫疯狂泼脏水
- 整点鲜闻|青年导演公然支持明星拿天价片酬,并爆料范冰冰巅峰期一天挣300万
