「树木」它是农村最被低估的1种树木,农民打柴都不砍它,殊不知浑身是宝
小编提示您本文标题是: 「树木」它是农村最被低估的1种树木 , 农民打柴都不砍它 , 殊不知浑身是宝 。 浑身|农民|打柴|构树|低估 。
树木是大自然最重要的组成部分之一 , 如果在那自然野外 , 缺少林林总总各色树木的话 , 首先环境就会受到极大损害 , 其次空气质量也会受到影响 , 让人呼吸起来再也感觉不到丝毫清新 , 对身体健康严重不利 , 所以到了现代 , 很多养花人都会放弃去种养一些美丽的盆栽花卉 , 而是会选择在自己的室内摆种几盆优质的观赏性树木 , 它们不仅能让自己的家变得更加美观大气 , 而且树木能比盆栽花卉活得更长久 , 养护起来 , 难度也会更低 。
▲▲ 「树木」它是农村最被低估的1种树木 , 农民打柴都不砍它 , 殊不知浑身是宝▲▲
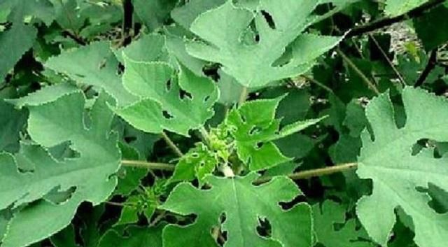
那么在当下我国树木最多的地区肯定就是那众多农村了 , 不管是路边还是山上 , 都随处可见各色树木 , 而我们今天要讲到的 , 就是一种在农村被严重低估的一种树 , 它就是构树 , 构树外形其貌不扬 , 很多农民去野外打柴都不愿意砍它 , 但其实它却浑身是宝 , 只要掌握方法 , 它就是一株宝树 , 所以下面就由我来为大家详细的介绍一下构树吧 。 它是农村最被低估的1种树木 , 农民打柴都不砍它 , 殊不知浑身是宝 。
▲▲ 「树木」它是农村最被低估的1种树木 , 农民打柴都不砍它 , 殊不知浑身是宝▲▲
构树别名非常多 , 其中最常被人叫的就是猪桃树了 , 它的树皮呈现灰暗色 , 枝叶非常繁茂 , 树冠张开如绿伞 , 树皮十分平滑 , 摸起来毫无粗糙感 , 并且不易裂开 , 其次构树植株整体都含有一种乳汁 , 不管是揉搓枝叶还是它的茎干 , 都会有乳汁流出 , 其次构树是一种非常喜阳光的植株 , 所以在一些阳光猛烈的地区 , 我们往往能够见到大片构树生长 。
▲▲ 「树木」它是农村最被低估的1种树木 , 农民打柴都不砍它 , 殊不知浑身是宝▲▲
构树生长速度快 , 对环境的适应性强 , 而且容易繁殖 , 所以它在全国很多地方都能扎根茁壮生长起来 , 那么要说到构树的优点 , 可丝毫不单一 , 需要从几点来描述 , 首先构树的叶片是非常好的猪饲料 , 直接采摘回去就能喂猪 , 对于家养猪来说 , 构树叶片营养足采取方便 , 是非常不错的 。 其次它那坚韧的树皮又是造纸的高级原料 , 造出来的纸质地洁白 , 非常好用 。
▲▲ 「树木」它是农村最被低估的1种树木 , 农民打柴都不砍它 , 殊不知浑身是宝▲▲
推荐阅读
- 天宇科技趣谈:为武汉捐款2亿元,昔日二十几岁赚千万后收购奔驰,他来自农村
- 「种植」野生100元1斤,农村一挖一大堆,农民种植亩产6000斤,1斤卖40元
- 『扦插』农村山间的野果,却是味难得中草药,遇到请珍惜,种植有妙招
- [橙子新娱乐]赵丽颖终于成了自己的女王,农村出身到一线女星
- 常见@农村常见的一种野菜,在乡下无人问津,但城里人却跑到农村来挖它
- 美食炖出来▲含有大量的细菌,下厨的时候千万要注意,它是最“脏”的食物
- 生活■拿明天的钱,圆今天的梦,农村年轻人的超前消费无异于自毁未来
- 掌上曲靖▲市督查组到富源督查电子商务进农村综合示范项目
- 佛晓迎晨曦@或许能改变看法,赚钱是难事?看看农村这3个项目
- 「家家难念」一年后回来,男子:你确定它是只猫?,男子出国将猫送给女友照顾
