风暴■全球新风王诞生,新风暴朱丽叶生成,9月第一轮“双风暴”( 二 )
▲▲ 风暴■全球新风王诞生 , 新风暴朱丽叶生成 , 9月第一轮“双风暴”又开启▲▲
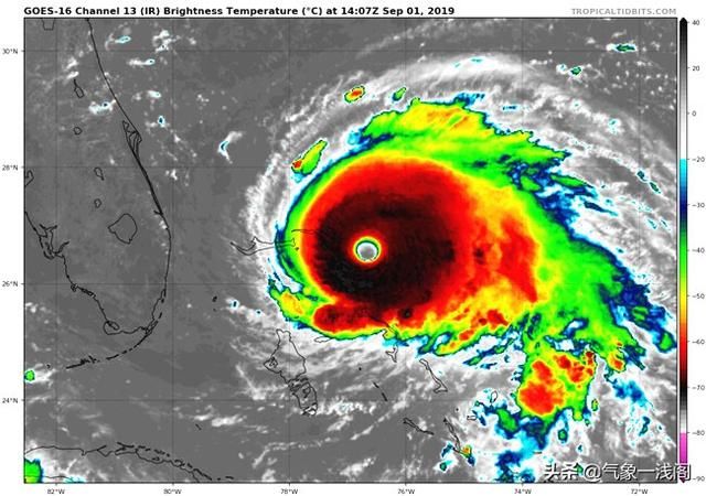
当然此外 , 我们也确定了 , 最高79米/秒的恐怖风速 , 913百帕的最低气压 , 风暴多利安直接打败了之前的2号台风蝴蝶(140K , 918百帕) , 69米/秒的风神芭芭拉 , 成为了今年全球新风王 , 更是创造了一个新纪录 , 改写了今年北大西洋无超强风暴的历史 。 而且从最新预报看 , 全球风王多利安将继续西北行 , 然后将严重影响美国 , 再东去 。
▲▲ 风暴■全球新风王诞生 , 新风暴朱丽叶生成 , 9月第一轮“双风暴”又开启▲▲
说完北大西洋的全球风王多利安 , 我们看向隔壁的东北太平洋 , 这个在8月底风暴伊沃消亡后 , 就相对沉寂的海域 , 结果又生成了一个风暴胚胎98E , 而且发展更快 , 成为了一个新风暴朱丽叶 。 美国官方NHC最新播报 , 新风暴朱丽叶此时位于墨西哥南部海域13.2N , 107.6W处 , 中心最低气压1004百帕 , 中心最大风速20米/秒 , 风力8级 , 热带风暴等级 。
▲▲ 风暴■全球新风王诞生 , 新风暴朱丽叶生成 , 9月第一轮“双风暴”又开启▲▲
这下 , 我们确定了 , 风暴朱丽叶的诞生 , 标志着北美地区今年9月第一轮“双风暴”共舞正式开启 , 只不过其中一个多利安已经问鼎了全球新风王 , 而另外一个风暴朱丽叶刚诞生 。 不过从官方预报看 , 风暴朱丽叶发展潜力大 , 而且时间很快 , NHC预计将在24小时内 , 或达到1级飓风 , 也是12级台风等级 。 只不过即使如此 , 未来朱丽叶的威胁也小 , 只不过将一直西北行 , 影响不到陆地 。
▲▲ 风暴■全球新风王诞生 , 新风暴朱丽叶生成 , 9月第一轮“双风暴”又开启▲▲
那么现在北大西洋和东北太平洋说完了 , 只剩下最后一个西北太平洋了 。 这里除了92W和90W正在酝酿14号台风剑鱼和15号法茜外 , 南海胚胎91W或者说准台风13号玲玲更是值得我们关注 。 最新播报显示 , 准玲玲已经离我国海南岛不远了 , 大致在以东300公里海域处 , 中心气压和最大风速不变 , 1002百帕和15米/秒 。
▲▲ 风暴■全球新风王诞生 , 新风暴朱丽叶生成 , 9月第一轮“双风暴”又开启▲▲
从目前来说 , 13号台风生成 , 基本上是确定了 , 只不过看日本气象厅JMA具体什么时候播报了 。 于生成播报相比 , 它的路径更值得我们关注 , 尤其是登陆次数 。 官方最新预报 , 未来的13号台风或将登陆我国海南3次:第1次将在2日上午 , 地点在万宁市附近;第2次也是上午 , 只不过是出海后再登陆 , 地点在日月湾北部附近 。
推荐阅读
- 「劳务派遣全球资讯」未来十年贡献2540亿美元,灵活办公向重点城市以外地区迁移
- 【腾讯科技】全球应用市场第一季度大爆发:花费达234亿美元创纪录 时长增20%
- 华为云启动全球抗疫行动,参与计划伙伴将获最高30000美元免费云资源
- 「晨财经」现金仍为王,野村东方国际:全球市场难言反转
- 「泱泱世界里」粮食概念股走一波,要开始屯粮了吗?
- 找果网■就是牛!10.2英寸IPAD在第四季度撑起全球平板电脑市场
- 「链得得」比特币崩盘了吗?
- 【全球体育APP】有志气!卡帅跟老友聊天戏言未来能执教皇马,已做好回欧洲的准备,原创
- 『新闻晨报』 全球疫情拐点何时到来?钟南山最新预判:全球疫情拐点或在4月底,
- 全球同脉,光大一心:光大集团慰问光大控股及特斯联海外团队
